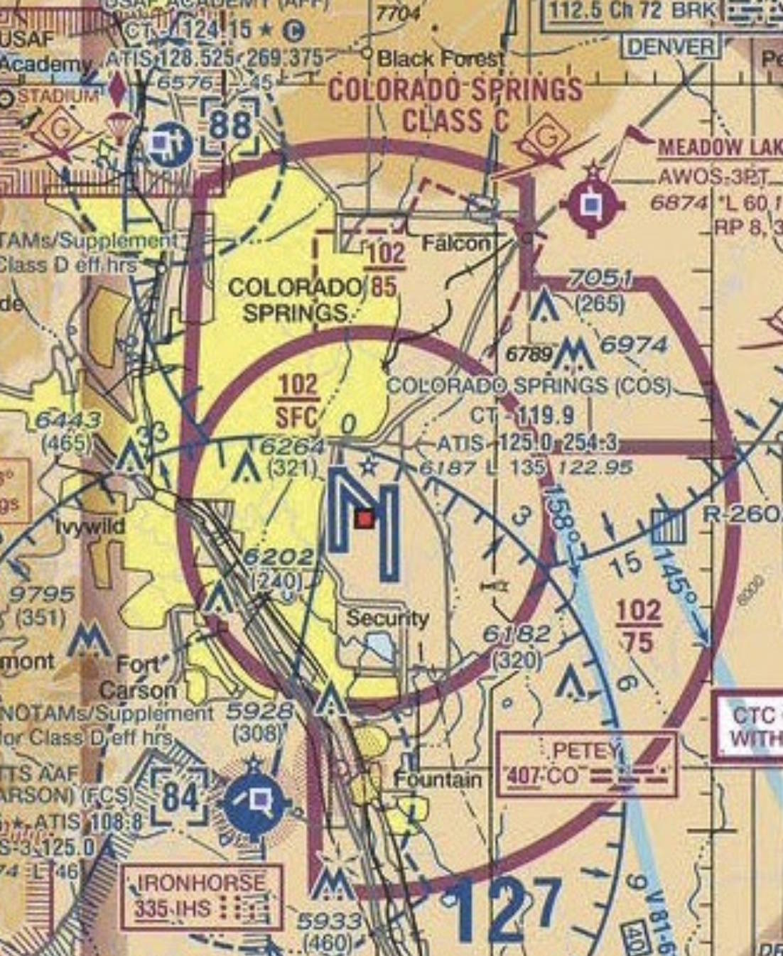
KCOS ADS-B

In March 2024 the KCOS airport delivered a new letter of agreement to balloonists in Colorado Springs. Please read the waiver here and agree to abide by the new rules.

One of the clauses in the agreement refers to submitting a list of pilots and balloons who are flying on a given day. In case that is necessary, this form asks for that information so we might make it available to our tower operators upon request.